Eucalipto (Eucalyptus)

El eucalipto es un árbol de rápido crecimiento
Imagen – Wikimedia/Xemenendura

El eucalipto es un tipo de árbol del que me vais a permitir decir algo que, puede que no guste a mucha gente, pero pienso que se le ha dado una mala fama que no se la merece. En España se ha utilizado mucho como planta para reforestar, sin tener en cuenta las consecuencias, pero eso no es problema del árbol, porque a fin de cuentas él, al igual que cualquier otra planta, lo que hace es mirar de adaptarse al medio en el que está y crecer.

Y si se encuentra en una zona donde las condiciones de vida son muy similares (o mejores) que las que tiene en origen, entonces sí, puede naturalizarse y, en ciertos casos, convertirse en invasora. Pero, ¿por qué no empezamos a ver al eucalipto con otros ojos? En este artículo quiero hablarte de sus características y de las especies que más se conocen.

¿Cuál es el origen del eucalipto?

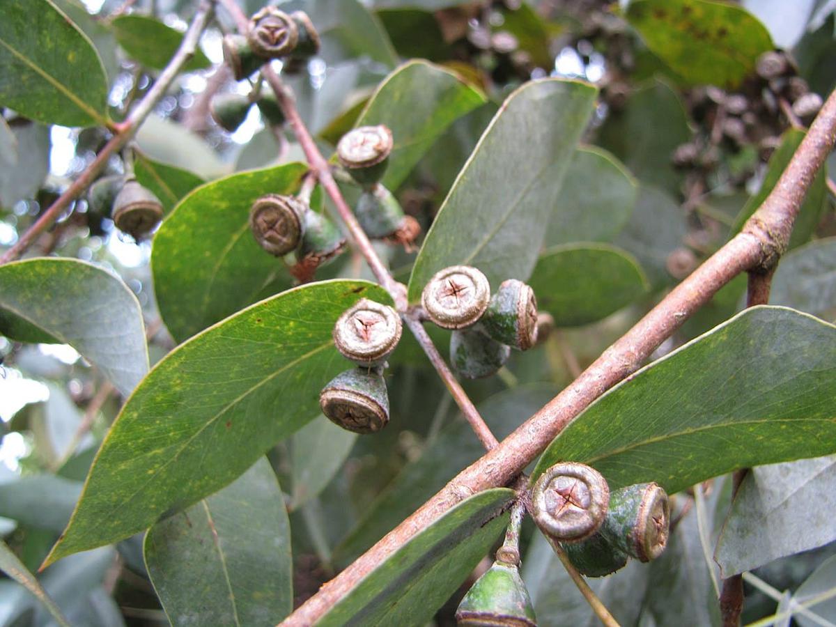
El eucalipto radiata es un árbol perenne
Imagen – Wikimedia/John Tann

Todos los eucaliptos son originarios del continente y de las islas cercanas, como Tasmania. Suelen crecer formando bosques, como por ejemplo en las Montañas Azules, que se encuentra en Nueva Gales del Sur, en el continente australiano. Este lugar, dicho sea de paso, fue declarado Patrimonio de la Humanidad de la Unesco en el año 2000.

Una característica, cuanto menos singular, de estos hábitats son los incendios forestales no provocados, es decir, los naturales. Son muchas las plantas que necesitan de estos incendios para poder germinar por ejemplo, tal es el caso de las proteas en África. En el caso de los bosques de eucaliptos, es gracias al fuego -siempre que, como digo, sea natural- que pueden rejuvenecerse.

Pero claro, lo que es natural en una zona, es muy peligroso es otra. Y es que, como seguramente sabrás, la corteza de estos árboles arde con rapidez. Y no solo eso: sino que cuando hay un incendio, este se extiende rápidamente por un área cada vez más grande si hay eucaliptos u otras plantas pirófilas. Es por eso por lo que no se recomienda plantar en según qué zonas.

¿Cuáles son las características de los eucaliptos?

Los eucaliptos son árboles de hoja perenne que pueden alcanzar una altura de unos 50 o más metros. Las hojas son ovaladas o alargadas según la edad que tengan las plantas, y son de color verde o verde azulado.

Sus flores se agrupan en inflorescencias redondas, y son de color blanco por lo general. Estas suelen aparecer a finales del verano y hasta el otoño. Y el fruto es una cápsula pequeña la cual contiene semillas de muy pequeño tamaño y de color marrón.

Su sistema radicular es muy largo y fuerte, tanto es así que siempre se deben plantar lejos de cualquier cosa que puedan romper, como tuberías por ejemplo. Además, es importante que sepas que no se puede poner ninguna planta debajo de un eucalipto, pues no sobreviviría. Esto es así porque el eucalipto es un árbol alelopático; es decir, produce unas sustancias que inhiben el crecimiento de otras plantas.

Tipos de eucalipto

Hay muchas especies distintas de eucalipto, tantas que podríamos escribir una enciclopedia sobre ellas. Por eso, vamos a hablarte solo de las más conocidas:

Eucalipto arcoiris (Eucalyptus deglupta)

El eucalipto arcoiris es un árbol perenne
Imagen – Wikimedia/LukaszBel

El eucalipto arcoiris es, con toda probabilidad, el Eucalyptus más llamativo que hay. Es originario de Papúa Nueva Guinea, así como de Indonesia. Puede llegar a medir 75 metros de altura, y sin duda lo más característico es la corteza de su tronco, la cual es multicolor. Pero debido a su origen, es una planta que solo se cultiva en el exterior en climas cálidos, donde no hay heladas nunca.

Eucalyptus camaldulensis

El Eucalipto es un árbol de gran tamaño
Imagen – Wikimedia/Mark Marathon

El eucalipto rojo, como se le llama en lenguaje común, es un árbol nativo de Australia. que llega a los 20 metros de altura, aunque en su lugar de origen puede alcanzar los 60m. Es una planta que se ha cultivado mucho en España; tanto es así que se calcula que unas 170 mil hectáreas se destinaron a su plantación.

Eucalipto cinerea (Eucalyptus cinerea)

Las hojas del eucalipto cinerea son azules
Eucalyptus cinerea es un árbol
El eucalipto cinerea o eucalipto medicinal es un oriundo de Australia. Puede alcanzar los 15 metros de altura, por lo que se trata de una de las variedades más pequeñas. Las hojas son ovaladas y de color verde azulado. Aguanta muy bien las heladas.

Eucalyptus globulus

Los eucaliptos son rápidos
Imagen – Flickr/Tony Rodd

El Eucalyptus globulus es un árbol al que se le conoce por los nombres de eucalipto común o eucalipto azul. Originario del sureste de Australia y de Tasmania, es una planta que puede alcanzar una altura máxima de 90 metros, aunque lo normal es que no sobrepasa los 30m. En España, en la provincia de Lugo, se encuentra un ejemplar que llaman »O Avó», el cual tiene una altura de 67 metros.

Eucalipto gunni (Eucalyptus gunnii)

El Eucalyptus gunnii es un árbol perennifolio
Imagen – Flickr/dan.kristiansen

El Eucalyptus gunnii, llamado eucalipto azul, o Gunnii en lenguaje popular, es un árbol que crece de forma natural en Tasmania. Crece entre los 15 y los 25 metros de altura, y tiene hojas alargadas de color verde azulado. Aguanta bien el frío, y las heladas moderadas.

Eucalyptus polyanthemos

El eucalipto puede tener muchas flores
Las hojas del eucalipto puede ser ovaladas
El tronco del eucalipto es muy alto
El eucalipto rojo, como se le conoce, es un árbol originario de Australia que alcanza los 25 metros de altura, y que tiene hojas de color verde-grisáceo o azuladas, las cuales pueden ser redondas o algo alargadas. Puede resistir heladas de hasta los -10ºC.

Eucalyptus regnans

El eucalipto gigante puede medir 100 metros
Imagen – Wikimedia/Pimlico27

El Eucalyptus regnans es la especie de eucalipto más grande que existe; no en vano, puede alcanzar los 110 metros de altura. Por este motivo, se conoce como eucalipto gigante o gomero gigante. Es originario del suroeste del continente australiano, así como de Tasmania. Y soporta el frío hasta los -5ºC.

¿Cuáles son los usos del eucalipto?

El eucalipto se ha usado y se usa para, por ejemplo:

Reforestar. Es un árbol de rápido crecimiento y muy resistente. Sin embargo, a veces no se tienen en cuenta sus características, y es cuando surgen problemas, ya que si se descontrolan, no dejan que las plantas autóctonas puedan crecer.

Madera. Es el principal motivo. esta se ha empleado, y se emplea, en carpintería.

Medicinal. Las hojas contienen un aceite esencial, el cual se usa para aliviar los síntomas de resfriados y gripes.

Ornamental. No se usa mucho como árbol de jardín, ya que necesita mucho espacio para crecer bien al tener raíces muy largas. Sin embargo, si se dispone de un terreno muy grande puede ser interesante tener uno.
Y tú, ¿qué opinión tienes del árbol de eucalipto?

Fuente: este post proviene de Todo Árboles, donde puedes consultar el contenido original.
¿Vulnera este post tus derechos? Pincha aquí.
Creado:
¿Qué te ha parecido esta idea?

Esta idea proviene de:

Y estas son sus últimas ideas publicadas:

Imagen – Wikimedia/Takkk La Picea pungens, conocida por el nombre común de abeto azul a pesar de que no está emparentada con los abetos, es una conífera de lento crecimiento y de gran belleza ...

El Liriodendron tulipifera es un árbol de hojas y flores grandes, quizás no tanto como el de otras plantas, pero sí hablamos de una especie que proyecta mucha sombra y que en primavera, que es cuando ...

Imagen – Flickr/Salomé Bielsa Los árboles de Paulownia son plantas de rápido crecimiento y suelen florecer a muy temprana edad. Si las condiciones son buenas, pueden ganar unos 30 o 40 centím ...

Imagen – Wikimedia/Stan Shebs Hay muchos tipos de arces: la gran mayoría son árboles, pero hay otros que crecen como arbustos o arbolitos de poca altura. Si tuviera que decir algo que los def ...

Recomendamos

Relacionado

Árboles ornamentales Fichas Ornamentales de hoja perenne

Imagen – Flickr/dan.kristiansen El Eucalyptus gunnii es un árbol de hoja perenne que puede verse muy bien en un jardín. Pese a que es un eucalipto, es interesante cultivarlo. Sí, en un jardín. Y es que cualquier planta, independientemente de la especie a la que pertenezca y/o de sus características, siempre que esté en el sitio adecuado va a poder servir para embellecer el lugar. De hecho, ...

Árboles

El árbol de eucalipto es un tipo de planta perenne capaz de alcanzar grandes dimensiones. Los ejemplares de eucalipto son ampliamente usados en la industria maderera y de producción de papel, además de conferírsele propiedades medicinales. Estos aspectos del árbol de eucalipto lo hace una planta muy popular y apreciada en plantaciones forestales. A continuación te mencionamos algunas de sus caract ...

Curiosidades

A la hora de elegir el árbol que vamos a plantar en el jardín es importante que nos informemos sobre sus raíces, ya que dependiendo de cuál sea el comportamiento de estas, podremos decidir si nos lo vamos a llevar a casa o si lo dejaremos en el vivero. Y es que una mala elección puede hacer que surjan problemas en un futuro y que no nos quede más remedio que quitarlo. Como seguramente habrás escuc ...

Curiosidades

Imagen – TheSpruce.com No deja de ser cuanto menos curioso tener un árbol dentro de una casa o piso, pero lo cierto es que hay ciertas especies que consiguen adaptarse si se les sitúa en una habitación en la que reciban la luz que necesitan, y si se van regando y cambiando de maceta cada vez que lo precisen. Si bien yo no soy partidaria de tener estas plantas en una vivienda, ya que hablam ...

Árboles ornamentales Fichas Ornamentales de hoja caduca

Imagen – Wikimedia/David Perez El Acer campestre es un árbol caducifolio con una copa amplia y densa. Es muy interesante para cultivar en los jardines, donde pueda crecer con libertad. Y es que aunque tolera la poda, no es una planta que aconsejemos quitar ni recortar ninguna rama, a menos que esté seca o rota, ya que su valor ornamental podría disminuir considerablemente. Además, es una e ...

Árboles frutales Fichas Frutales de hoja perenne

Imagen – Flickr/Malcolm Manners El árbol del pan es un frutal de origen tropical que puede llegar a alcanzar un tamaño muy grande si se encuentra en un lugar donde el clima le permite crecer y si tiene agua suficiente. No es muy conocido en España todavía, puesto que solo se podría adaptar al clima de algunos puntos del sur de la península y de las Islas Canarias. En el resto del país le ...

Árboles frutales Frutales de hoja perenne

Imagen – Flickr/Roberto Castro-Cortes La pachira es un árbol tropical que en España solemos cultivar en interior, debido a su nula resistencia al frío. Sin embargo, es importante saber que se trata de una planta que puede superar con creces los diez metros de altura, así que si queremos tenerla en casa nos veremos obligados a podarla si no queremos que toque el techo. Pero cuando el clima ...

Árboles ornamentales Fichas Ornamentales de hoja caduca

El Fraxinus excelsior es un árbol que encontramos en buena parte de Europa. Tiene un porte elegante, con una copa frondosa y ancha la cual da una sombra que muchos agradecen. Además, es decorativo en todas las estaciones del año, incluso en invierno cuando se queda sin hojas. No le asustan ni las heladas ni tampoco el calor, si bien vegeta mejor en zonas donde el clima es templado, con veranos no ...

Curiosidades

Cuando las temperaturas empiezan a ser demasiado altas, no hay nada mejor que protegerse bajo la copa de un árbol, ya que justo debajo de él hay un microclima más fresco. Esto no solo es así porque las hojas impiden que los rayos del sol impacten contra el suelo, sino que, además, el vapor de agua que expulsan refresca el ambiente. Por otro lado, los árboles de sombra, una vez que ya son lo sufici ...

Árboles ornamentales Fichas Ornamentales de hoja caduca

Imagen – Wikimedia/Joanna Boisse El Cotinus coggygria es un árbol relativamente pequeño que produce unas flores curiosas, tanto que recibe el nombre de árbol de las pelucas ya que la inflorescencia se asemeja a estas. Además, es una planta que bien te puede servir para decorar la terraza como para crear un seto bajo o mediano en el jardín. Tolera bastante bien la poda, motivo por el que t ...