Peral de flor (Pyrus calleryana)

El peral de flor es un árbol caducifolio
Imagen – Wikimedia/Alpsdake



Muchos árboles tienen una floración espectacular, pero si eres de los que disfruta viendo flores blancas, sin duda alguna no podemos más que recomendarte el Pyrus calleryana. Este nombre puede que no te suene mucho, pero si te digo que es el peral de flor, quizás sepas cuál te digo; y si no es el caso, no te preocupes.

Se trata de una especie muy interesante para plantar en amplios jardines, ya que su copa tiene una base bastante ancha, pero que también se podría llegar a tener en otros donde el espacio es más limitado, siempre que se fuese podando.

¿Qué es el peral de flor?

El peral de flor es un árbol caducifolio
Imagen – Wikimedia/Bruce Marlin

El peral de flor es un árbol procedente de China cuyo nombre científico es Pyrus calleryana. También se le llama peral de Callery. Es una planta que puede medir hasta 20 metros de altura, y que desarrolla una copa algo redondeada, con una base ancha de hasta 4 a 5 metros. Las hojas tienen forma ovalada, con el haz de color verde oscuro y el envés verde más claro, excepto en otoño que se vuelven rojas o anaranjadas. Estas son caducifolias, cayendo en invierno.

Las flores son blancas, de más o menos 3 centímetros de diámetro, y brotan en primavera. Son muy aromáticas, teniendo un olor dulzón, por lo que atraen a numerosos insectos polinizadores, entre ellos a las abejas. Si hablamos del fruto, este tiene forma de pera, pero mide tan solo 1 centímetro de diámetro, y al ser duro no es apto para consumo.

¿Para qué se usa el Pyrus calleryana?

Es un árbol que tiene uso ornamental. A diferencia del peral común (Pyrus communis), los frutos no son comestibles para los humanos, pero hay otros animales que sí se los comen cuando tras una helada se reblandecen. Aún así, al producir tantas flores y a la sombra que proporciona su copa, es una planta muy interesante para cultivar en los jardines.

Y es que ya sea como ejemplar aislado o en alineaciones, se va a ver muy bonito. Incluso si tienes un jardín muy pequeño, te podrías plantear conseguir uno e ir dándole pequeñas podas para mantenerlo con poca altura.

¿Cómo se cuida?

El Pyrus calleryana es un árbol de crecimiento rápido, que no requiere de cuidados complejos. Ahora bien, siempre es interesante -e importante- conocer si la planta que nos gusta puede vivir bien (y no solo sobrevivir) en nuestro jardín, pues de lo contrario se podría dar el caso de que la perdiéramos antes de que nos diésemos cuenta.

Así que vamos a ver cómo cuidarlo:

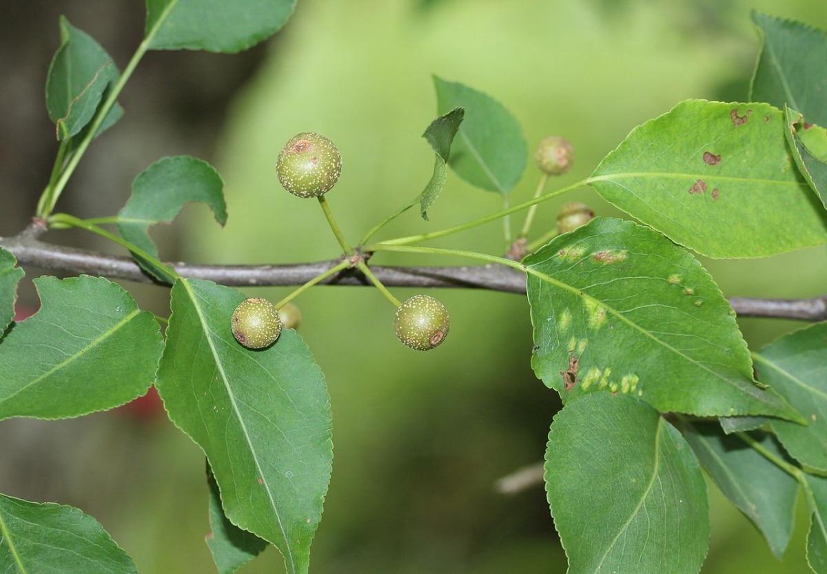
¿Dónde ponerlo?

Los frutos del peral de flor son pequeños
Imagen – Wikimedia/Alpsdake

Ha de estar fuera de casa. No tendría ningún sentido dejarlo en interior, ya que es un árbol que no solo llega a los 20 metros de altura, sino que además necesita sentir cómo van cambiando las estaciones. Solo así podrá saber cuándo dejar de alimentar sus hojas, y cuando volver a producirlas.

Pero además, es importante que se plante en el suelo en cuanto sea posible. Aunque puede estar en maceta -grande- si se poda con regularidad, la realidad es que cuanto más grande se haga, más ramificará y, por lo tanto, más flores podrá producir.

¿Qué tierra necesita?

Crece en tierra fértil, es decir, rica en materia orgánica y con buen drenaje. En los suelos muy pesados, como los arcillosos, su sistema radicular no puede desarrollarse de la manera correcta, pudiendo incluso llegar a asfixiarse.

Por consiguiente, si la tierra que tenemos es así, muy pesada y compacta, lo mejor será hacer un agujero lo más grande posible, de al menos 1 x 1 metro, y llenarlo con sustrato de cultivo para plantas.

¿Cada cuánto se ha de regar?

No puede estar mucho tiempo sin recibir agua. De hecho, si no llueve tendremos que regar al Pyrus calleryana varias veces por semana en verano, mientras que durante el resto del año espaciaremos los riegos para darle tiempo a la tierra a secarse un poco, pues tampoco sería bueno que permaneciera encharcada.

A la hora de regar, empaparemos la tierra; de este modo, se podrá rehidratar sin problemas.

¿Cuándo hay que abonar al Pyrus calleryana?

El pyrus calleryana es un árbol
Imagen – Wikimedia/Alpsdake

Es recomendable abonar al peral de flor durante la primavera, que es cuando florece, pero también en verano. De este modo, se consigue que crezca bien, fuerte, y sobre todo, sano.

Así que si tenemos mantillo, estiércol de animales herbívoros, o guano por ejemplo, podremos echarle alrededor del tronco y luego mezclarlo con la tierra. Después, solo quedará darle un buen riego.

¿Cuándo se poda?

Puedes podar a tu árbol cuando las yemas empiecen a hincharse, en primavera. Córtale las ramas que estén secas o rotas, y aprovecha para recortar las que sean demasiado largas.

¿Cuál es su resistencia al frío?

Es un árbol que soporta sin dificultad las heladas intensas, con temperaturas de hasta los -20ºC.

¿Tienes un peral de flor en tu jardín?

Fuente: este post proviene de Todo Árboles, donde puedes consultar el contenido original.
¿Vulnera este post tus derechos? Pincha aquí.
Creado:
¿Qué te ha parecido esta idea?

Esta idea proviene de:

Y estas son sus últimas ideas publicadas:

Imagen – Wikimedia/Takkk La Picea pungens, conocida por el nombre común de abeto azul a pesar de que no está emparentada con los abetos, es una conífera de lento crecimiento y de gran belleza ...

El Liriodendron tulipifera es un árbol de hojas y flores grandes, quizás no tanto como el de otras plantas, pero sí hablamos de una especie que proyecta mucha sombra y que en primavera, que es cuando ...

Imagen – Flickr/Salomé Bielsa Los árboles de Paulownia son plantas de rápido crecimiento y suelen florecer a muy temprana edad. Si las condiciones son buenas, pueden ganar unos 30 o 40 centím ...

Imagen – Wikimedia/Stan Shebs Hay muchos tipos de arces: la gran mayoría son árboles, pero hay otros que crecen como arbustos o arbolitos de poca altura. Si tuviera que decir algo que los def ...

Recomendamos

Relacionado

Plantas de jardín

Aunque pertenece a la misma familia botánica, guarda un cierto parecido y su nombre común muy similar, el peral de flor (Pyrus calleryana) es bastante diferente al que podemos tener en mente, el peral común (Pyrus communis). Hablamos de un uso ornamental y no productivo, reconocido por sus propiedades ornamentales y su rusticidad. De hecho, aunque su origen sea asiático (China), es frecuente verlo ...

diseño de jardines

Seguimos recomendando algunas de nuestras especies favoritas. Esta vez, hablaremos de un árbol frutal que se encuentra en todo su esplendor floral durante esta época del año, aunque luce diferentes colores según la estación en la que nos encontremos. El Pyrus Calleryana, comúnmente conocido como peral de flor, tiene su origen en China. Es un árbol ornamental de hoja caduca, muy resistente. Puede l ...

Árboles ornamentales Fichas Ornamentales de hoja caduca

Imagen – Wikimedia/Cillas La Firmiana simplex es una especie de árbol de hoja caduca muy interesante para proporcionar sombra a un jardín, pues su copa es muy frondosa y lo suficientemente ancha para que se pueda descansar bajo sus ramas. De hecho, es también usado en la jardinería urbana, plantándose en parques e incluso en las calles por este motivo. Crece bien y rápido en distintos tip ...

Árboles ornamentales Ornamentales de hoja caduca

Imagen – Flickr/Salomé Bielsa La Robinia pseudoacacia es un árbol de hoja caduca que se suele plantar mucho en los aparcamientos, parques y también en los jardines. Si se deja crecer libremente, forma una copa redondeada y ancha, capaz de proporcionar una sombra bajo la que no solo es posible protegerse del sol durante el verano, si no que también sentirás como tu sensación térmica baja un p ...

Curiosidades

Aunque la gran mayoría de árboles florecen, no todos tienen flores realmente vistosas y decorativas. Pero ese no es el caso de las especies de las que las te voy a hablar aquí. Y es que si quieres crear puntos de especial interés en tu jardín, es muy recomendable tener una o varias plantas que llamen mucho la atención en algún momento del año. Eso sí, es un poco difícil elegir los diez árboles con ...

Árboles ornamentales Fichas Ornamentales de hoja perenne

El árbol de té es una planta que puede usarse para decorar jardines pequeños. Aunque más que un árbol es un arbolito o arbusto grande, no podía dejar de hablar de él en este sitio web, ya que su altura una vez llega a la edad adulta es de 5 metros y da bastante sombra. Además, es muy recomendable plantarlo en aquellos jardines donde llueve poco y/o donde el suelo sea pobre en nutrientes ya que se ...

Árboles ornamentales Fichas Ornamentales de hoja caduca

Imagen – Wikimedia/Jean-Pol GRANDMONT El Cercidiphyllum japonicum es un arbolito de gran belleza. Tiene un porte elegante, y una copa ordenada y llena de hojas que recuerdan a las de otros árboles muy usados también como ornamentales: los Cercis, siendo el C. siliquastrum el que más cultivamos en España. Pero no nos desviemos. Nuestro protagonista es una planta perfecta para incluir, por e ...

Árboles ornamentales Ornamentales de hoja perenne

Imagen – Wikimedia/Derek Ramsey El Cedrus atlantica es una conífera de hoja perenne que se utiliza mucho en los parques y jardines amplios. Proporciona mucha sombra cuando se le deja crecer a su aire, por lo que es muy interesante tenerlo como como ejemplar solitario en algún rincón que vayamos a disfrutar mucho. Su único inconveniente es que se toma su tiempo para crecer; de hecho, es basta ...

Árboles ornamentales Fichas Ornamentales de hoja caduca

La catalpa es un bonito árbol caducifolio con una copa bastante amplia. Con hojas grandes y verdes, y unas flores blancas que brotan en racimos, se trata de una planta muy interesante para cultivar en un jardín. Crece a un ritmo que, sin ser demasiado alto, sí que permite ver notables cambios de año en año. Además, es capaz de vivir en distintos microclimas, siempre que se encuentre en una región ...

Árboles ornamentales Fichas Ornamentales de hoja caduca

Imagen – Flickr/Andreas Rockstein La Tilia cordata es un árbol caducifolio que podemos encontrar en las regiones templadas de Europa. En España es una especie habitual en el norte de la península, donde el clima es más fresco y húmedo que en el resto del país, algo que le permite alcanzar dimensiones sorprendentes. Además, cuando florece, produce tal número de flores que la planta se ve m ...