Cómo controlar el escarabajo de la patata con tratamientos ecológicos



  El escarabajo de la patata, (Leptinotarsa decemlineata) es un coleóptero, es decir, un escarabajo que afecta a los cultivos de patata y berenjena.

Es un voraz depredador de las hojas de la patata y también de la berenjena, lo cual afecta a la producción de patatas y berenjenas considerablemente, por lo que es importante identificarlo y eliminarlo a tiempo, antes de que la plaga se extienda y sea imposible de controlar.

Tan devastadoras son sus consecuencias que el cultivo de patatas se prohíbe en algunos huertos comunitarios y huertos urbanos de alquiler o de ocio en las ciudades para erradicar la expansión de esta plaga.

Cómo identificar al escarabajo de la patata en el huerto.

Como te adelantaba se trata de un escarabajo, de aspecto y tamaño similar a las mariquitas conocidas por todos. Solo que en lugar de tener puntos negros, se caracteriza por poseer 10 líneas negras entre franjas amarillas, de ahí su nombre científico de “decemlineata” (10 líneas).

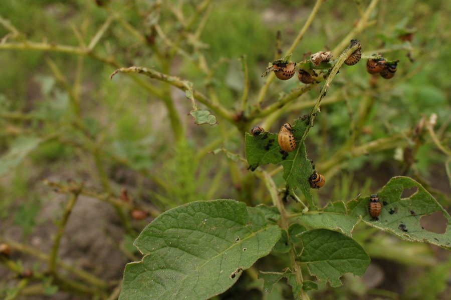
Detectar a los adultos es relativamente fácil, basta con una simple observación periódica de las hojas de las plantas de patata del huerto. No tan sencillo, resulta reconocer sus puestas de huevos y sus estadios larvarios. Los escarabajos de la patata pasan por diferentes fases larvarias hasta convertirse en el escarabajo adulto de franjas negras y amarillas. Es primordial saber identificar las distintas larvas para que puedas deshacerte de este voraz depredador antes de que sea demasiado tarde.

En la siguiente imagen podrás ver todos los estadíos por los que pasa el escarabajo de la patata, con sus formas y colores característicos para que puedas identificarlos sin problemas sobre tus cultivos.

leptinotarsa decemlineata ciclo biologico

 

Síntomas de las plantas afectadas por escarabajos de la patata.

Los síntomas no son más que la manifestación visual de que algo va mal en las patatas, incluso aunque no veas directamente al escarabajo de la patata en cuestión. Es importante que los reconozcas ya que pueden darte una pista de la plaga que tienes y por tanto de cómo tratarla a tiempo.

Estos son algunos síntomas de que el escarabajo de la patata está presente entre tus cultivos:

-l primero y más obvio, es que detectes directamente la presencia de adultos o de larvas sobre las hojas o bien de puestas de huevos amarillos bajo las hojas (en el envés).

- la segunda, si observas hojas mordidas desde la punta hacia el nervio de las hojas.

- el tercer síntoma es la presencia de excrementos grises sobre las hojas.

- en última instancia y si no actúas a tiempo, puedes llegar a observar las plantas de la patata sin una sola hoja, quedando solo los tallos. En este caso, poco podrás hacer ya este año, sin embargo, sigue leyendo, porque descubrirás cómo evitarlo la próxima temporada.

Cómo prevenir el escarabajo de la patata el huerto ecológico.

Para prevenir que estos escarabajos asolen las patatas de tu huerto, puedes recurrir a algunos métodos naturales para controlar su aparición:

Realiza rotaciones. Rota tus cultivos de patatas en el huerto, sobre todo si has tenido plaga de escarabajo de la patata la última temporada. No te recomiendo ubicar tus patatas en el mismo espacio donde los tuviste el año pasado. Algunos ejemplares pueden pasar el invierno en el suelo y al llegar la primavera atacarán de nuevo a tus patatas o berenjenas. Sin embargo, si encuentran otro cultivo del que no pueden alimentarse, morirán de hambre.

Elimina los primeros adultos detectados. La mejor prevención para evitar que se conviertan en plaga consiste en realizar una revisión periódica de las hojas de tus plantas de patata. Coge los adultos a mano y aplástalos. Lo simple no está reñido con lo eficaz, “el dedete” es lo que mejor funciona en estos casos.

Elimina puestas de huevos. De igual forma que en el caso anterior, conviene que revises el envés de las hojas (la parte inferior) de las plantas de patata de forma periódica. Algún adulto de los que aplastaste pudo haber dejado ya una puesta de huevos. Si es así, espachurra los huevos con el dedo para evitar que eclosionen y se conviertan en cientos de pequeñas larvas defoliadoras (comedoras de hojas) de tus cultivos. Cómo eliminar el escarabajo de la patata. Tratamiento ecológico.

Si llegaste tarde para poner en marcha las precauciones anteriores y ya tienes tus cultivos plagados de adultos, de puestas de huevos o de pequeñas larvas hambrientas entonces toca pasar al plan B, realizar un tratamiento ecológico sobre la plaga del escarabajo de la patata.

Para ello puedes emplear tratamientos ecológicos a base de extracto de Neem – Azadiractina, que tiene cierto efecto sobre las larvas (no sobre los adultos).

Pero el método más efectivo para combatir el escarabajo de la patata es el Bacillus thuringiensis, un tratamiento biológico (ya que el Bacillus es una bacteria) de uso en agricultura y horticultura ecológica, que no deja residuos ni daña a la fauna útil (como las abejas).

El Bacillus thuringiensis se aplica fumigando las hojas con este producto diluido en agua, de modo que cuando las larvas comen las hojas, el Bacillus pasa a su intestino. Allí, una toxina paraliza el sistema digestivo de las larvas de escarabajo, impidiéndolas comer, de forma que mueren de inanición y la plaga queda controlada.

Y si aun no te he convencido de que este ejército de larvas voraces no harán más que comer y comer hojas de patata hasta defoliarlas, déjame que te muestre algunos números para que veas a la velocidad que se reproduce este escarabajo convirtiéndose en plaga:

1 pareja de escarabajos adultos pone entre 10 y 30 huevos en cada puesta, de los que eclosionaran entre 10-30 larvas en un periodo de 4- 15 días desde la puesta. Cada larva alcanzará la fase adulta entre 7-10 días después de salir del huevo.

Ya solo queda multiplicar, pongamos que 1 pareja de adultos hace su puesta y pone unos 20 huevos, esto supone:

- 20 “hijos” en menos de 1 mes desde la puesta de huevos.

- 400 “nietos” en 1-2 meses.

- 8.000 “bisnietos” en 2-3 meses. Y esto solo con una pareja de adultos y 1 sola puesta de huevos, imagina si hay más ¿incontrolable verdad? Por eso la importancia de observar y tratar a tiempo esta plaga.

¡Qué hace el escarabajo de la patata en las berenjenas!

Si revisas lo que has leído, al principio te comenté que este escarabajo, aunque se le conoce como escarabajo de la patata, afecta también a las berenjenas. Esto se debe a que patatas y berenjenas son dos plantas muy similares de la misma familia botánica (Familia Solanáceas) y como ocurre a menudo, plantas similares sufren las mismas plagas.


Esto es importante por 3 cosas:

1) Debes vigilar tus cultivos de berenjena también para detectar esta posible plaga y aplicar los mismos métodos preventivos y los mismos tratamientos para combatir el escarabajo de la patata si aparece sobre tus berenjenas.

2) Combinar o asociar patatas y berenjenas en el huerto ecológico no es una buena idea. Ambas son de la misma familia y comparten la misma plaga.

3) Rota tus cultivos de patatas y berenjenas en el huerto. No te recomiendo que cultives berenjenas en el mismo lugar donde el año anterior tuviste las patatas y viceversa.

Asi que ya sabes, con el escarabajo de la patata "no dejar para mañana lo que puedas hacer hoy" es fundamental para mantener esta plaga a raya y mantener un control con tratamientos ecológicos de este voraz depredador de patatas y berenjenas.

 

Fuente: este post proviene de Un huerto en mi balcón Blog, donde puedes consultar el contenido original.
¿Vulnera este post tus derechos? Pincha aquí.
Creado:
¿Qué te ha parecido esta idea?

Esta idea proviene de:

Y estas son sus últimas ideas publicadas:

La caléndula (Calendula officinalis) es una planta útil en el huerto contra las plagas y para atraer polinizadores, sus pétalos son comestibles en ensalada, se emplea en infusión por sus propiedades y ...

Recomendamos

Relacionado

Huerta Insectos y Plagas Berenjena ...

La zona norte de la sierra de Villafranca es excelente para el cultivo de patatas, nosotros cultivamos patatas tempranas, tardías y las patatas finas de Gredos. Aunque las patatas llegaron desde América a España a mediados del siglo XVI, hasta finales del siglo XIX no se generalizó su cultivo para consumo humano. Por ser un cultivo fácil de adaptar, con un ciclo corto, sencillo de almacenar y que ...

huerto jardin consejos ...

Después de unas merecidas vacaciones volvemos con más remedios y consejos contra las plagas más habituales en el campo. En esta ocasión toca hablar sobre el Escarabajo de la patata (Leptinotarsa decemlineata), una plaga muy común y, que si no se trata a tiempo, podemos encontrar nuestras plantas devoradas y sin apenas hojas. El mejor consejo es tratar la plaga a tiempo, desde la aparición de los p ...

como eliminar las orugas insecticida contra orugas mariposa de la col ...

La oruga de la col (Pieris brassicae) es un lepidóptero, es decir, una mariposa diurna que afecta principalmente a los cultivos de coles, los cuales pertenecen a la familia de las Brasicas o Crucíferas (coles, coles rizadas, coles chinas, coles de Bruselas, coliflores, repollos, brócolis, coles forrajeras, nabos, colinabos y rábanos). Se trata de un depredador voraz en su forma de oruga ya que al ...

tuta absoluta tuta plaga ...

INTRODUCCIÓN La polilla del tomate, polilla perforadora, cogollero del tomate, gusano minador del tomate o minador de hojas y tallos de la patata (Tuta absoluta) es un pequeño insecto lepidóptero de la familia Gelechiidae. Esta plaga de origen latinoamericano está presente en Argentina, Bolivia, Brasil, Chile, Colombia, Ecuador, Paraguay, Perú, Uruguay, Venezuela, pero no aparece por encima de los ...

huerto huerting huerta ...
CÓMO COMBATIR LAS PLAGAS DE CHINCHES EN EL HUERTO

Los chinches son insectos neópteros que poseen una boca chupadora la cual utilizan para alimentarse de los jugos de las plantas. Existen chinches de muy diversos colores y formas como son el chinche verde, el chinche de campo, el chinche dorado, el chinche de la patata, etc. Atacan a las plantas tanto como cuando son larvas como cuando son adultos. Las larvas perjudican a las hojas ...

Plagas y enfermedades

Las orugas  y mariposas son una de las principales  plagas que podemos sufrir en nuestro huerto urbano y se alimentan de nuestros cultivos lechugas, coles, espinacas, perejil, plantas aromáticas, pimientos, tomates… Existen muchos tipos de orugas que pueden arruinar nuestra cosecha, una de las más conocidas es la mariposa o oruga de la col. La mariposa de la col, pieris brassicae, es un lepi ...

plagas y enfermedades

El Mildiu es una enfermedad muy habitual y temida por todos los que se dedican a la jardinería. Es provocada por algunos hongos pertenecientes al grupo de los oomicetos y que se expande y desarrolla muy rápidamente. Síntomas e identificación Manchas marrones o polvo parecido a la ceniza y de aspecto graso en el haz de las hojas, asfixiándolas hasta secarlas. En las solanáceas ( berenjena, patata ...

gusano de la col tratamientos el día a día ...
Gusano de la Col——– Sulfatando con “Ddt”

El gusano de la col es una plaga bastante común, dos años hemos sembrado coles en el huerto y los dos años hemos tenido. Muchas veces no basta con sulfatar y lo mejor es usar la técnica del ” Ddt ” (Revisar las matas y quitar los gusanos con los dedos) (Imagen: Wikipedia) Primero empezamos a ver algún borde de las hojas comidas, pero mirábamos la planta en busca del gusano o de sus h ...

cómo prevenir plagas ecohuerto homegrow ...

Son varias las tareas de mantenimiento que durante el mes de junio tenemos que hacer en nuestra huerta en el hemisferio norte. En primavera, y sobre todo durante es mes en concreto, las condiciones meteorológicas son varias, por lo menos en mi zona, Galicia. El clima suele variar de una semana para otra y unos días podemos superar los 30 grados de temperatura y otro no dejar de llover durante todo ...

Consejos Enfermedades Huerto ...

¿Alguna vez habéis encontrado gorgojos en las legumbres? ¿No? ¡Pues habéis tenido mucha suerte!. Ya que la higiene en el lugar de almacenamiento en nuestro hogar no impide que tengamos gorgojos en productos que hemos comprado ya infestados con anterioridad. Es posible traer a casa un paquete de arroz, de pasta, de harina o de legumbres, entre otras cosas, que ya esté atacado con huevos de polillas ...